





Description
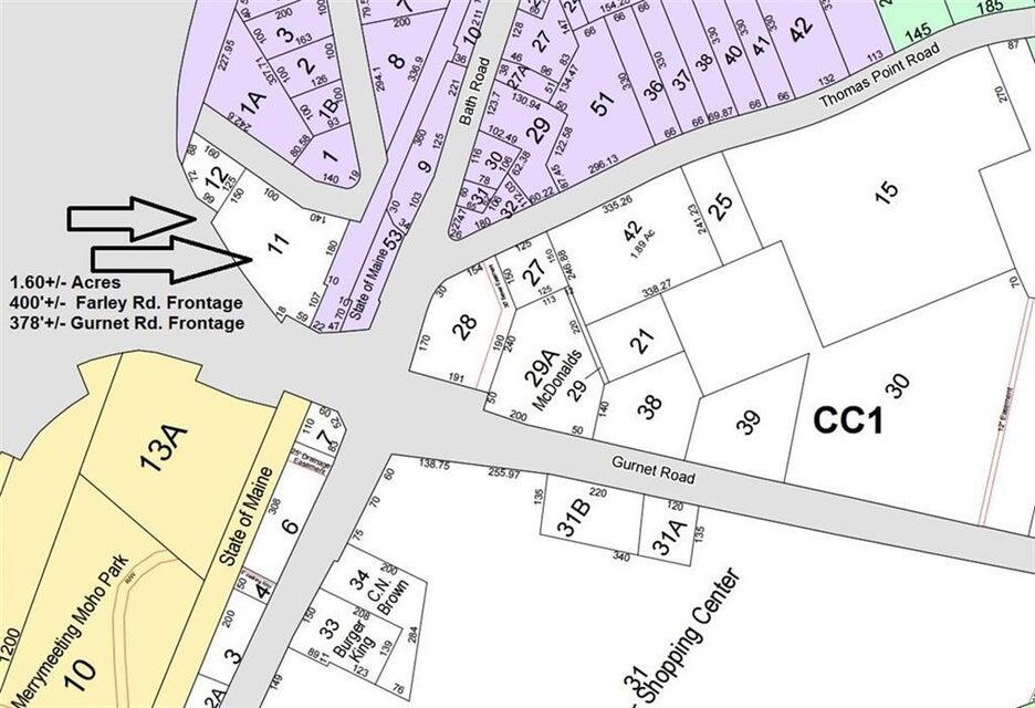
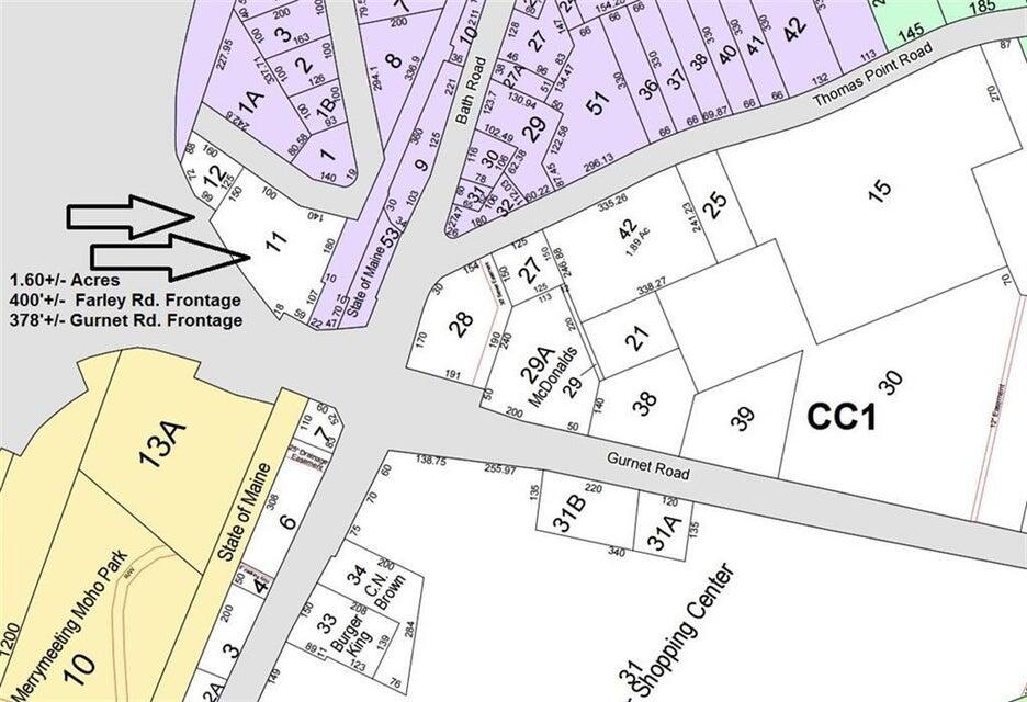
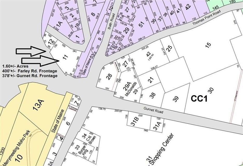
Developers take notice of these 2 Lots for sale in the hub of Cook's Corner. Seller concessions being offered. Located in a qualified opportunity zone. Level and open lot with complete visibility from Route 1. Lot 11 is paved with a 3-bay garage and Lot 12 is gravel with an existing Quonset hut. Flexible lot lines depending on use. Frontage on Farley Road and runs alongside the ramp leaving Cooks Corner headed toward Bath. Mixed use and commercial with a wide variety of allowed uses. Group Living, Storage facility, Multi Unit Housing, Day Care, Hotel, Restaurant, Power sports sales, Medical/dental/vet office, Art Gallery, Solar activities and more. Lots of sun exposure and abutting major 3 phase power lines. Town sewer at the curb and town water is available (call for details). Zero building set backs on all sides but rear. Rear set back 15 ft. 80% impervious lot coverage allowed; 60 ft max structure height. Large foundation footprints allowed-see attached LD 2003-allowing for 60 residential units.
Location
Listed By
Similar Listings
No similar listings found
Unfortunately, we don't have any similar listings at the moment. Please remove or change some of the selected filters.

Listing data is derived in whole or in part from the Maine IDX and is for consumers' personal, non-commercial use only. Dimensions are approximate and not guaranteed. All data should be independently verified. © Maine Real Estate Information System, Inc. All Rights Reserved. Updated: 29th April, 2026 2:09 PM (UTC)
Listing Office: All Points Realty
Attribution contact:
e.humes81@gmail.com





























































